
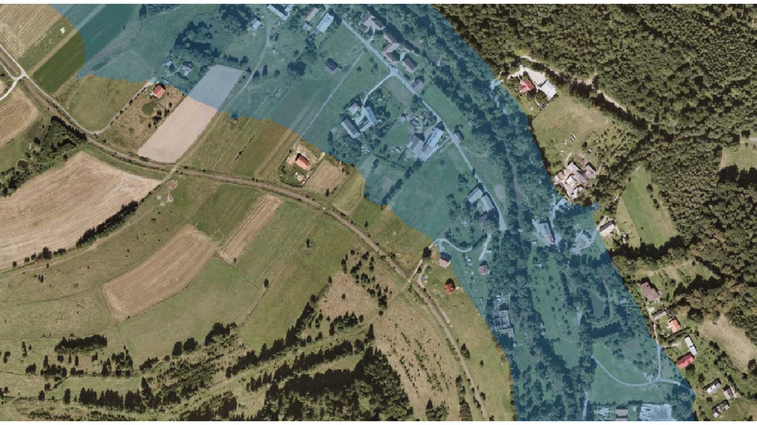
Informacja dla mieszkańców
dotycząca granic ewentualnych zbiorników suchych
Stójków i Rudawka
Informuję, że zgodnie z ustaleniami z ostatniej sesji Rady Miejskiej Lądka-Zdroju Pan Profesor Janusz Zaleski przekazał mapy przedstawiające granice ewentualnych zbiorników suchych Stójków i Rudawka.
Jednocześnie Pan Profesor podkreślił, że są to w dalszym ciągu przybliżone lokalizacje, które będą uszczegóławiane na kolejnych etapach (jeśli nastąpią) studium wykonalności i projektowania.
Przewodniczący Rady Miejskiej
Lądka-Zdroju
(-)
Sebastian Łukasiewicz
ZBIORNIK STÓJKÓW
ZBIORNIK STÓJKÓW – POBIERZ PLIK
ZBIORNIK RUDAWKA
ZBIORNIK RUDAWKA – POBIERZ PLIK
O PROJEKCIE OCHRONY PRZECIWPOWODZIOWEJ W DORZECZU ODRY I WISŁY
Projekt Ochrony Przeciwpowodziowej w Dorzeczu Odry i Wisły (POPDOW) jest współfinansowany przez Międzynarodowy Bank Odbudowy i Rozwoju (Bank Światowy), przez Bank Rozwoju Rady Europy, jak również przy wsparciu środków z Funduszu Spójności w ramach Programu Operacyjnego Infrastruktura i Środowisko 2014 -2022 oraz budżetu państwa. Realizacja Projektu OPDOW w zakresie ochrony środowiska jest zgodna z Politykami Operacyjnymi (Operational Politics) i Procedurami Banku (Bank Procedures) w zakresie ochrony środowiska.
Głównym celem Projektu OPDOW jest poprawa ochrony przed powodzią mieszkańców i ich mienia na wybranych obszarach dorzecza Odry i dorzecza górnej Wisły oraz wzmocnienie zdolności instytucjonalnych administracji publicznej w bardziej efektywnym ograniczaniu skutków powodzi.
W ramach Projektu OPDOW powstaje nowoczesna infrastruktura zarządzania powodziowego wraz z powiązanymi z nią środkami technicznymi w trzech wyodrębnionych obszarach Polski:
- w dorzeczu Środkowej i Dolnej Odry
- na Ziemi Kłodzkiej (Zlewnia Nysy Kłodzkiej)
- w dorzeczu Górnej Wisły.
Dbałość o środowisko i bezpieczeństwo mieszkańców
Dla każdego zadania w ramach POPDOW są opracowywane Plany Zarządzania Środowiskiem (PZŚ), według zasad opisanych w Ramowym Planie Zarządzania Środowiskiem i Sprawami Społecznymi (ESMF) z 1 kwietnia 2015 roku oraz przepisy polskiego prawa. Inwestycje w ramach Projektu Ochrony Przeciwpowodziowej Dorzecza Odry i Wisły są przeprowadzane na obszarach dotkniętych sezonowymi wezbraniami rzek i powodziami. Do realizacji zaakceptowano tylko takie rozwiązania, które mają najniższe negatywne oddziaływanie na środowisko. Na obszarach objętych inwestycją stosowane są najwyższe standardy środowiskowe i budowlane, dbałość o wodę, florę i faunę, obszary chronione, glebę, jakość powietrza, krajobraz kulturowy i zabytki. Idąc z duchem czasu, Wody Polskie zajmują holistyczne stanowisko wobec człowieka i natury. Ta koncepcja przyrody zakłada, że środowisko przyrodnicze jest hierarchicznie złożoną całością złożoną z powiązanych ze sobą i wzajemnie na siebie oddziałujących mniejszych całości.
Inwestycje w ramach POPDOW są zgodne z wytycznymi Polityki ekologicznej państwa 2030, która będzie stanowiła podstawę do inwestowania środków europejskich w latach 2021–2027. Strategia ta wspiera realizację celów i zobowiązań Polski na szczeblu międzynarodowym, w tym na poziomie unijnym oraz ONZ, szczególnie w kontekście celów polityki klimatyczno-energetycznej UE do 2030 oraz celów zrównoważonego rozwoju ujętych w Agendzie 2030. Cele szczegółowe Polityki ekologicznej państwa 2030 zostały stworzone w odpowiedzi na najważniejsze zjawiska w obszarze środowiska, w sposób, który umożliwi uspójnienie kwestii związanych z ochroną środowiska z potrzebami gospodarczymi i społecznymi.
Partycypacja Społeczna
Wszystkie inwestycje w ramach Projektu Ochrony Przeciwpowodziowej w Dorzeczu Odry i Wisły są poddawane konsultacjom społecznym już na etapie planowania zgodnie z wymogami Banku Światowego, prawa unijnego oraz krajowego. Konsultacje społeczne dotyczą spraw środowiskowych i aspektów dotyczących pozyskiwania nieruchomości oraz z ewentualnymi przesiedleniami ludności. Są one przeprowadzane już na najwcześniejszym z możliwych etapów tak, by inwestor mógł precyzyjnie zidentyfikować oczekiwania mieszkańców na obszarach objętych inwestycją w ramach POPDOW. Seria konsultacji społecznych, inicjowana przez inwestora, ma na celu przedstawienie informacji dotyczących projektu oraz stworzenie warunków do artykulacji opinii lub obaw przez interesariuszy projektu, gdyż jest to działanie kluczowe i umożliwiające pomyślne wdrożenie projektu.KOMPONENT 2: OCHRONA PRZECIWPOWODZIOWA KOTLINY KŁODZKIEJ
Celem tych inwestycji jest ochrona Kłodzka i innych miejscowości w Kotlinie Kłodzkiej. Budowa czterech suchych zbiorników i zwiększenie retencji wód umożliwi redukcję fali powodziowej na Nysie Kłodzkiej oraz zmniejszenie dopływu wód powodziowych do położonej poniżej kaskady zbiorników retencyjnych. Cieki w Kotlinie Kłodzkiej mają charakter górski i podgórski z wysokimi prędkościami przepływu wody. Układ sieci rzecznej w zlewni Nysy Kłodzkiej wpływa na rodzaj zjawisk powodziowych, w szczególności na znaczny i szybki przybór wód w ciekach. Realizacja tego zadania pozwoli na zmniejszenie zagrożenia powodzią miejscowości położonych w dolinie rzeki Nysy Kłodzkiej.
Realizacja przedsięwzięcia została podzielona na:
– ochronę czynną (budowa 4 suchych zbiorników)
– ochronę bierną (modernizację i budowę wałów ochronnych, uporządkowanie koryt rzek, udrożnienie mostów, przebudowę i modernizację murów oporowych, nasypów, a także innych obiektów)
Ochrona czynna przed powodzią Kotliny Kłodzkiej (zadanie 2A):
- Budowa suchego zbiornika przeciwpowodziowego rzeka Nysa Kłodzka w miejscowości Boboszów (zadanie 2A.1/1). Pojemność zbiornika w Boboszowie wyniesie 1,4 mln m3. Powierzchnia zalewu przy maksymalnym piętrzeniu to 21,2 ha. Długość zapory wynosi 230 m, a maksymalna wysokość piętrzenia 17 m.
Wykonawca: Joint Venture firm: Przedsiębiorstwo Robót Wodnych i Ekologicznych EKO-WOD Sp. z o.o. pełniący rolę lidera, oraz Przedsiębiorstwo Fransław Piotr Kalemba – partner
Wartość kontraktu: 166 859 887,76 PLN Brutto
Planowany okres realizacji: 01.2018 – 02.2022
*Zapoznaj się z klauzulą informacyjną dotyczącą przetwarzania danych osobowych.
- Budowa suchego zbiornika przeciwpowodziowego na potoku Goworówka miejscowość Roztoki Bystrzyckie (zadanie 2A.1/2). Pojemność tego zbiornika wyniesie 2,7 mln m3. Powierzchnia zalewu przy maksymalnym piętrzeniu to 48,7 ha. Długość zapory wynosi 756 m, a maksymalna wysokość piętrzenia 15,5 m.
Wykonawca: Joint Venture firm PORR S.A. i PORR GmbH
Wartość kontraktu: 195 723 985,29 PLN Brutto
Planowany okres realizacji: 01.2018 – 08.2021
*Zapoznaj się z klauzulą informacyjną dotyczącą przetwarzania danych osobowych.
- Budowa suchego zbiornika przeciwpowodziowego rzeka Bystrzyca Dusznicka w miejscowości Szalejów Górny (zadanie 2A.2/1). Pojemność tego zbiornika wyniesie 9,9 mln m3 i będzie on przejmował spływ wód z 64 % całkowitej zlewni Bystrzycy Dusznickiej. Powierzchnia zalewu przy maksymalnym piętrzeniu to 118,7 ha. Długość zapory wynosi 735 m, a maksymalna wysokość piętrzenia 20,09 m.
Wykonawca: Power Construction Corporation of China, Limited
Wartość kontraktu: 148 120 087,01 PLN Brutto
Planowany okres realizacji: 09.2018 – 12.2021
*Zapoznaj się z klauzulą informacyjną dotyczącą przetwarzania danych osobowych.
- Budowa suchego zbiornika przeciwpowodziowego potok Duna w miejscowości Krosnowice
(zadanie 2A.2/2). Pojemność zbiornika w Krosnowicach wyniesie 1,9 mln m3 . Powierzchnia zalewu przy maksymalnym piętrzeniu to 44,12 ha. Długość zapory wynosi 452 m, a maksymalna wysokość piętrzenia 14 m.
Wykonawca: Power Construction Corporation of China, Limited
Wartość kontraktu: 81 590 555,27 PLN Brutto
Planowany okres realizacji: 09.2018 – 12.2021
*Zapoznaj się z klauzulą informacyjną dotyczącą przetwarzania danych osobowych.
Suche zbiorniki na Ziemi Kłodzkiej będą przechwytywać i redukować falę powodziową. Obiekty będą zautomatyzowane i wyposażone w system przekazywania danych z możliwością sterowania lokalnego, z centrum zarządzania zbiornikami w Kotlinie Kłodzkiej, jak i z centrali RZGW we Wrocławiu.
Ochrona bierna przed powodzią Kotliny Kłodzkiej (zadanie 2B):
W ramach pierwszego etapu ochrony biernej Kotliny Kłodzkiej planowane prace dotyczą przede wszystkim modernizacji istniejącej infrastruktury w dziewięciu miejscowościach: Dusznikach-Zdroju, Szczytnej, Polanicy-Zdroju, Lądku-Zdroju, Stroniu Śląskim, Międzylesiu, Długopolu-Zdroju, Bystrzycy Kłodzkiej i w Kłodzku. Planowane inwestycje dotyczyć będą głównie odbudowy zabudowy regulacyjnej oraz ubezpieczeń brzegowych w taki sposób, by usunąć potencjalne ograniczenia i uzyskać bezpieczne warunki przejścia wód w trakcie wezbrań. W planach przewidziane są między innymi remonty murów oporowych, budowa nowych ubezpieczeń brzegowych, zamiana progów na bystrza, budowa zapór przeciw rumowiskowych oraz miejscowe zwiększenie światła mostów.
- Ochrona przeciwpowodziowa doliny Nysy Kłodzkiej – Etap I: Międzylesie, Długopole – Zdrój, Bystrzyca Kłodzka, Kłodzko (zadanie 2B.1/1)
Międzylesie
Długość odcinka, na którym prace, prowadzone będą równolegle na obu brzegach, to ok. 950 m. Prace prowadzone będą również na obu brzegach ujściowego odcinka potoku Dolna na długości 45 m. Rzeka Nysa Kłodzka przepływa przez teren Międzylesia na odcinku w km 172+200 ÷ 174+250.
Długopole-Zdrój
Zostanie zbudowany nowy mur na lewym brzegu Bystrzycy Kłodzkiej w km 157+235 – 157+446, który zabezpieczy nieruchomości położone na tym odcinku. Zaplanowano budowę nowego muru w km 157+775 – 158+035, który jest przedłużeniem istniejących ubezpieczeń, które zostaną również odbudowane.
Bystrzyca Kłodzka
Łączna długość odcinka rzeki Nysy Kłodzkiej objętego pracami w Bystrzycy Kłodzkiej wyniesie ok. 1835 m. Ze względu na istniejącą zabudowę regulacyjną, zachodzi potrzeba odtworzenia i utrzymania założeń hydrotechnicznych, które w sposób znaczący w przeszłości zmieniły charakter rzeki. Łączna długość odcinka rzeki Bystrzycy objętego pracami wynosi około 1165 m. Na odcinku od km 150+300 do km 151+100 koryto Nysy Kłodzkiej jest odcinkowo umocnione i przepływa przez gęsto zabudowany teren Bystrzycy Kłodzkiej. Zadanie przewiduje dodatkowo zabezpieczenie przed powodzią zabytkowej kaplicy św. Franciszka Ksawerego z 1681 roku, zlokalizowanej w pobliżu mostu na Nysie Kłodzkiej, która powstała ku czci patrona strzegącego od chorób morowych.
Kłodzko
Łączna długość odcinka objętego pracami na obu odcinkach Nysy Kłodzkiej w Kłodzku to około 1455 m, natomiast łączna długość odcinka objętego pracami wyłącznie na lewym brzegu Bystrzycy Dusznickiej wyniesie około 165 m. Oprócz prac modernizacyjno-remontowych przewidziano dodatkowo budowę nowego wału przy ulicy Korczaka, przepławkę dla ryb na jazie H4 i udrożnienie ichtiologiczne koryta rzeki na tym odcinku przez przebudowę progów na bystrza.
Faza przygotowawcza.
Okres realizacji: 10.2021 – 03.2023
- Ochrona przeciwpowodziowa doliny rzek Białej Lądeckiej i rzeki Morawki – Etap I: Stronie Śl., Lądek – Zdrój (zadanie 2B.2/1)
Stronie Śląskie
Długość odcinka, na którym prace remontowo-modernizacyjne prowadzone będą na obu brzegach rzeki Białej Lądeckiej (km 30+450 ÷ 32+500) wynosi 4100 m. Sumaryczna długość odcinka, na którym prace prowadzone będą na obu brzegach potoku Morawa (km 0+000 ÷ 1+800) w Stroniu Śląskim to około 3600 m. Mury oporowe stanowią fundament budynków mieszkalnych i przyległej zabudowy, które wymagają wykonania remontu i ich reprofilacji.
Lądek – Zdrój
Długość odcinków, na których prowadzone będą prace remontowo-modernizacyjne na obu brzegach rzeki Białej Lądeckiej to około 8500 m. Dodatkowo przewidziano udrożnienie ichtiologiczne koryta poprzez likwidację barier poprzecznych oraz budowę przepławki na wysokości kaskady trzech stopni w korycie Białej Lądeckiej.
Faza przygotowawcza.
Okres realizacji: 10.2021 – 03.2023
- Ochrona przeciwpowodziowa doliny rzeki Bystrzycy Dusznickiej i Kamiennego Potoku – Etap I: Duszniki Zdrój, Szczytna, Polanica-Zdrój. (zadanie 2B.2/2)
Duszniki – Zdrój
Długość odcinka, na którym prace remontowo-modernizacyjne będą prowadzone równolegle na obu brzegach Bystrzycy Dusznickiej w Dusznikach wynosi około 1950 m. Koryto Bystrzycy Dusznickiej od mostu M-49 w km 25+919 do km 28+500 ujęte jest w mury oporowe i przepływa przez zabudowany teren miejscowości Duszniki-Zdrój. Dodatkowym zabezpieczeniem przeciwpowodziowym będzie kanał ulgi chroniący w przyszłości Muzeum Papiernictwa w Dusznikach-Zdroju, który został uznany za pomnik historii w 2011 roku przez ówczesnego prezydenta RP. Wzniesiony na początku XVII wieku jest unikatowym w skali Europy zabytkiem techniki. We wrześniu 2019 roku rozpoczęły się starania o wpisanie tego obiektu ma listę światowego dziedzictwa UNESCO.
Szczytna
Długość odcinka, na którym prace prowadzone będą równolegle na obu odcinkach Bystrzycy Dusznickiej w Szczytnej to 1110 m, a na Kamiennym Potoku 1250 m. Koryto rzeki Bystrzycy Dusznickiej w km 20+280 ÷ 24+800 w Szczytnej jest regularne i ma ustabilizowany profil podłużny, obudowany murami regulacyjnymi bądź ubezpieczeniami brzegów w formie luźnego narzutu z zastosowaniem licznych progów.
Polanica – Zdrój
Oprócz prac ubezpieczeniowych wybudowany zostanie dodatkowo wał przeciwpowodziowy o długości 200 m ochraniający oczyszczalnię ścieków oraz zapora przeciwrumowiskowa powyżej hotelu Malwa w Polanicy-Zdroju. Łączna długość odcinka objętego pracami na obu brzegach Bystrzycy Dusznickiej wyniesie 2175 m. Koryto Bystrzycy Dusznickiej na rozpatrywanym odcinku w km 12+390 ÷ 16+980 jest regularne i ma ustabilizowany profil podłużny.
Faza przygotowawcza.
Okres realizacji: 10.2021 – 03.2023 PROJEKT
ZAŁĄCZNIK1
ZAŁACZNIK2
ZAŁĄCZNIK3
ZAŁĄCZNIK4a
ZAŁĄCZNIK4b
ZAŁĄCZNIK5
ZAŁĄCZNIK6a
ZAŁĄCZNIK6b